SIÊU PHẨM PHẠM VĂN ĐỒNG – BÁN ĐẤT TẶNG NHÀ, Ô TÔ ĐỖ CỬA– NGÕ THÔNG KINH DOANH – 33M2, 7.7 TỶ

Giá bán: 7.7 tỷ - Đăng 3 tháng trước
Lưu tin
Khu vực
Đường Phạm Văn Đồng, Phường Cổ Nhuế 2, , Hà Nội
Thông tin chi tiết
Mô tả
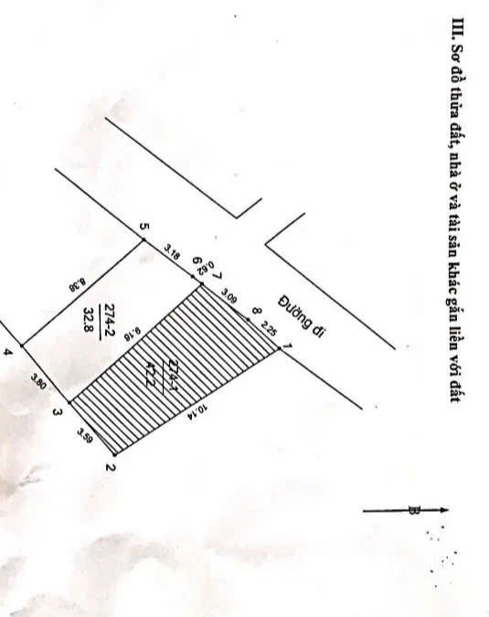
+ Nhà bán toạ lạc mặt ngõ đường Phạm Văn Đồng, cạnh Công viên Hoà Bình.
+ Vị trí đẹp, cách mặt phố 20m. Ô tô đỗ cửa, ngõ thông kinh doanh.
+ Nhà 2 tầng dân xây còn rất chắc chắn. Diện tích 33m2, MT 3.8m. Khách mua ở tạm hoặc xây mới để ở hay cho thuê đều tuyệt vời.
+ Sổ đẹp, chính chủ - Sẵn sàng giao dịch
+ LH ngay: 0989162591 – Thien Bđs, Chuyên thổ cư Hà Nội.
Liên hệ:
0989162591
Hashtag:
Chia sẻ tin đăng này cho bạn bè:
Đăng nhanh - Bán gọn
mua bán an toàn
Tin đăng này đã được kiểm duyệt. Nếu gặp vấn đề, vui lòng báo cáo tin đăng hoặc liên hệ CSKH để được trợ giúp. Gọi ngay ››